处理点云
打开软件
打开应用,点击【激光数据处理】---->【SLAM GO POST】

新建
新建

导入从SD卡拷贝出来的数据

选择文件夹

界面出现如下所示内容

完成新建

插入加密狗
将飞马加密狗插入电脑

处理点云


添加至视图
展开点云数据,右键点击【添加至视图】

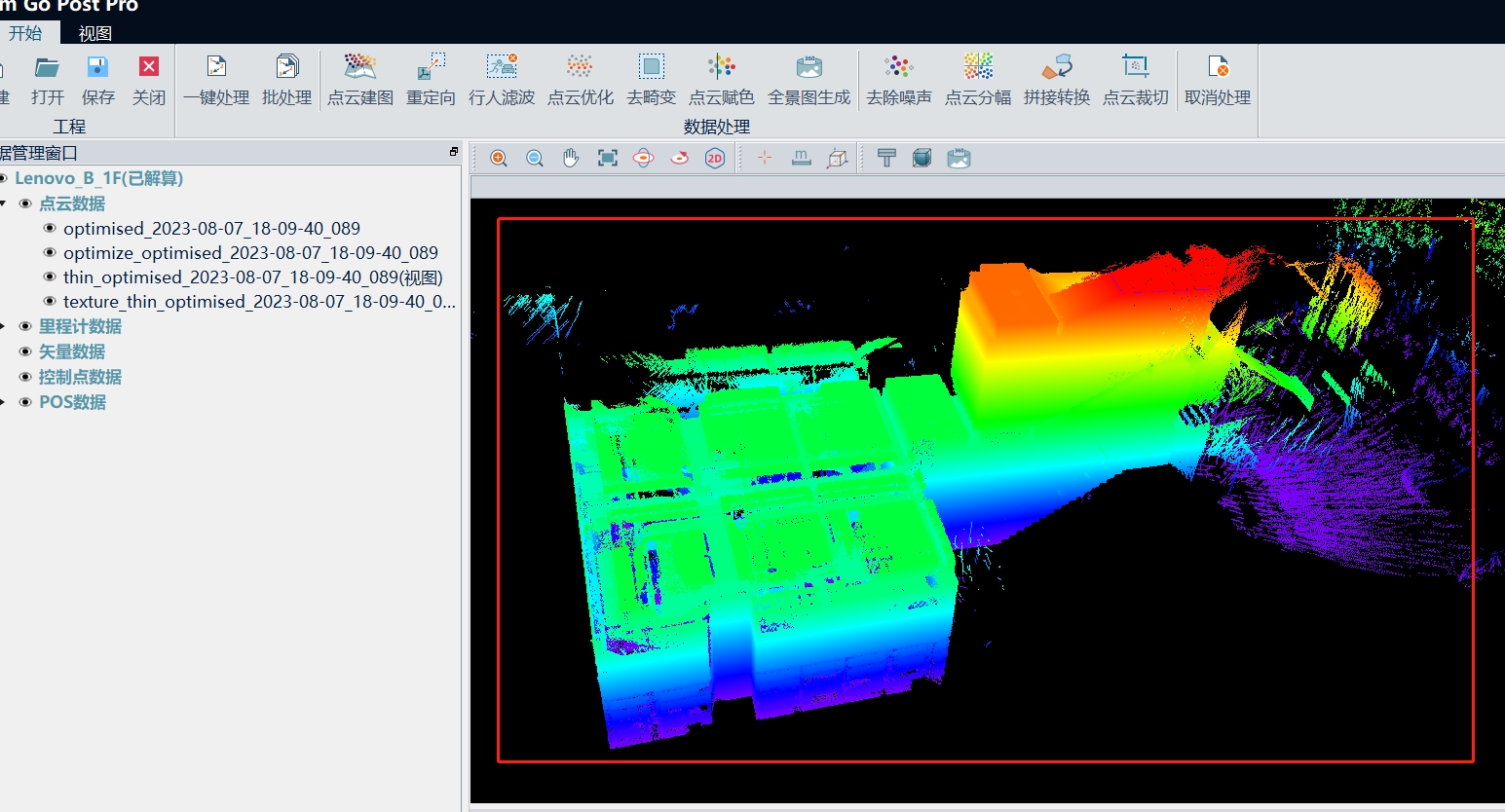
检查点云
检查扫描的数据是否完整,符合要求

导出.las
选中需要导出的点云数据,右键,点击【数据导出即可】

打开应用,点击【激光数据处理】---->【SLAM GO POST】

新建

导入从SD卡拷贝出来的数据

选择文件夹

界面出现如下所示内容

完成新建

将飞马加密狗插入电脑



展开点云数据,右键点击【添加至视图】

检查扫描的数据是否完整,符合要求

选中需要导出的点云数据,右键,点击【数据导出即可】
